颱風辛樂克登頂今年「風王」,不僅威力增強,正加速往前衝,路徑將迴轉大甩尾!對此,台灣氣象專家吳聖宇直言,這是35年以來最強4月颱,最新颱風路徑、颱風動態曝光!
最新颱風路徑》強颱辛樂克北轉
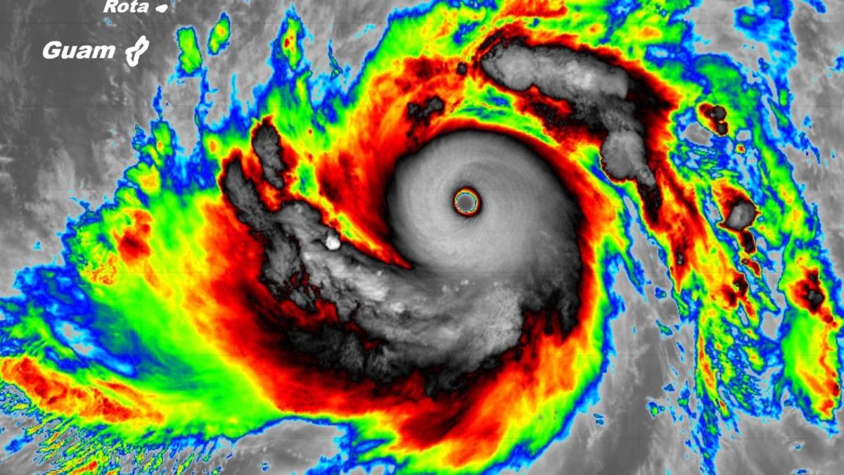
颱風辛樂克路徑大迴轉!中央氣象署指出,辛樂克以每小時17公里速度,向西北西進行,中心氣壓895百帕,近中心最大風速每秒60公尺,瞬間最大陣風每秒75公尺。
颱風動態》辛樂克眼牆清晰 35年來最強4月颱
對此,專家吳聖宇在臉書表示,辛樂克颱風中心最大風速提升到60m/s,7級風半徑350公里,為1991年氣象署使用10分鐘平均風速評定颱風強度以來最強的4月颱,也是1958年以來半徑最大的4月颱。
吳聖宇直言,辛樂克颱風結構型態完美,衛星掃瞄可看出清楚的眼牆、主次雨帶等特徵,看起來即將進入眼牆置換的階段。
辛樂克登頂今年「風王」
今年風王來了!吳聖宇認為,颱風辛樂克可是風王候選人,幸好對台灣沒有影響,預期未來36-48小時內環境條件都還很好,可以持續觀察它的變化,應該會是一個教科書等級的案例。另外,氣象粉專「台灣颱風論壇|天氣特急」也指出,辛樂克颱風核心非常紮實,颱風眼銳利清晰,今年風王應該妥妥的。



