分享至:
更多影片
看更多
網友回應
推薦新聞
新北市三重區前(6)日發生兇殺案,60歲陳姓男子不滿千萬家產分配不均,在家與61歲胞姊、55歲胞妹發生激烈口角後,持刀狠砍2人,造成姊姊胸口中刀,傷重身亡;妹妹則是幸運撿回一命,幫忙勸架的陳妻也遭波及送醫。案發後陳嫌當場被逮捕送辦,新北地方法院今(8)日中午裁定陳嫌羈押禁見。
男星范姜彥豐27日撕毀老婆粿粿婚姻不忠,自3、4月去美國行後與王子(邱勝翊)好上外遇,先前爆出范姜手握兩人裸體擁抱的照片,資深媒體人巫嘉芬近日在節目曝光疑似兩人在女方家浴室大尺度的裸擁照,引來網友熱議,不少人推測徵信業者裝設針孔鏡頭,進而抓包兩人出軌,對此,誠品徵信社執行長詹哥向《TVBS新聞網》分析,通常在浴室裝針孔可能性低,直呼「不太合理」。
台灣羽球天后戴資穎昨(7)天晚間於社群平台宣布退役,結束輝煌的羽球生涯。戴資穎的父親戴楠凱今(8)日接受媒體訪問時表示,尊重女兒的意願,並透露戴資穎早在去年巴黎奧運後便萌生退意。戴楠凱透露,戴資穎曾說退休後想去爬玉山、環島旅行。
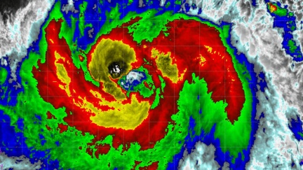
鳳凰颱風路徑將衝向台灣,威力發猛增強中,顛峰將達強颱,而且颱風要開眼了!對此,前氣象局長鄭明典直言,鳳凰颱風範圍大、水氣足,將是一個大災難,最新颱風動態、颱風路徑曝光!
台灣網紅「護理系女神」謝侑芯,上月在馬來西亞工作期間猝死,陳屍在五星級飯店浴缸,而在場的知名歌手黃明志不僅涉毒,如今案件也改以謀殺案偵辦,黃明志遭通緝神隱多日後,5日清晨現身警局自首,強調「我不會逃」全力配合調查。事件廣受討論,網上盛傳謝侑芯是由好友雪碧(方祺媛)仲介出國當伴遊才出事,雪碧日前也發聲駁斥,不過今(8)日有週刊報導,雪碧仲介女模到新馬「花場」工作的往事被翻出,有模特兒指出不僅酬勞保底六萬元起,還包機票、住宿,雪碧也會親自陪同。
備戰2026縣市長選舉,藍綠白積極布局,民進黨選對會陸續公布參選名單,國民黨力拚在台南、高雄等艱困選區「綠地變藍天」。前立委沈富雄受訪時直言,不只是綠營內部,放眼整個台灣,都找不到有像藍營這位女戰將般的人物,不只有強烈的渲染力,還讓賴清德2028連任之路充滿變數。
進入電信5G時代,4G吃到飽恐下架「退出台灣」?台灣大哥大、遠傳宣布,將在全台經銷通路「停售4G吃到飽方案」,外界擔憂中華電信將跟進。對此,3大電信業者、交通部、NCC回應了!
台中市北區中清路上知名的「犂記餅店」,於今(8)日上午9點59分,傳出工作意外,據報案民眾表示,一名員工之手部遭餡料攪拌機夾住,無法自行脫困,消防局立即帶隊前往,發現一名30歲的女員工左手遭餡料攪拌機卡住,其3指受傷,緊急送醫急救,所幸無生命危險。
颱風假有望?鳳凰颱風加速了,最新路徑預測將北轉「登陸台灣」,全台大雨逃不掉。而此次路徑非以往東部登陸,從中部地區登陸機率最高,5縣市戒備了,中央氣象署曝光最新颱風動態!
台北市中山區今(8)天上午10時許,一輛新店客運公車行經四平街和松江路的交叉路口時,意外撞上路面施工的告示牌,所幸工人並無受傷,但車上乘客因為緊急煞車,導致有輕微受傷,分別為44歲女性、6歲男童及一名6歲女童,詳細車禍原因有待後續釐清。
本網站使用Cookies以便為你提供更優質的使用體驗,若您點選下方"我同意"或繼續瀏覽本網站,即表示您同意我們的Cookies政策,欲瞭解更多資訊請見隱私權政策